Популярное

Музыка Кино и Анимация Автомобили Животные Спорт Путешествия Игры Юмор

Интересные видео

2025 Сериалы Трейлеры Новости Как сделать Видеоуроки Diy своими руками

Топ запросов

смотреть а4 schoolboy runaway турецкий сериал смотреть мультфильмы эдисон
dTub
Скачать

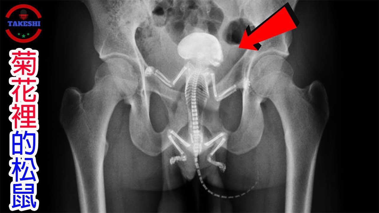
[生物放大鏡] X光下的松鼠與鼠王謎團的真相 | 屁股裡的生物危機 | 破解鼠王祕密的X光片

Автор: Takeshi小剛

Загружено: 2023-10-16

Просмотров: 97495

Описание:

大家好我是Takeshi小剛,X光技術是人類醫學上的一大里程碑,他的出現讓我們可以透過不侵入人體的方式,了解體內的情形,然而人體並不是X光技術的唯一應用,動物醫療也因為X光的出現得到了大幅度的提升,而且在現今X光技術出現的多年後,它除了能解決人類與動物的健康問題,竟然還製造了一些謎團,也同時解答了一些謎團,今天的兩個案例就是這樣的例子,現在就讓我們來一探究竟吧,歡迎來到今天的生物放大鏡,今天要跟大家介紹,X光下的松鼠與鼠王謎團的真相!

小額支持帳戶:
玉山銀行(808)
帳戶:0211-979-047108

成為這個頻道的會員並獲得獎勵:
   / @takeshi919  

注意! 目前YOUTUBE是小剛唯一上傳影片平台,其他平台都是影子模仿術,請幫忙檢舉! 感謝QWQ

神秘怪異生物合集:

   • 嚇壞眾人的動物生殖器- 詭異的形狀與特殊功能讓人傻眼(世界最大生殖器)  

農場放大鏡:

   • [農場放大鏡]"剝皮大衣"即將走入歷史的真相 | 破千萬的超貴皮草 | 產業帝王宣布倒閉  

神秘怪異植物合集:

   • [TOP5]數個罕見邪惡植物~來自陰間的花朵!?  

神秘詭異現象~恐怖探險合集:

   • 把人變成植物與野獸的古老亞馬遜巫術-死藤水  


鬼月恐怖合集:

   • 鬼月最大禁忌 ! 猛鬼招喚儀式 !  


[貼心提醒_Reminder]

訂閱後不要忘記按旁邊的鈴鐺
才不會錯過最新上傳的影片唷

[生物放大鏡] X光下的松鼠與鼠王謎團的真相 | 屁股裡的生物危機 | 破解鼠王祕密的X光片

Поделиться в:

Доступные форматы для скачивания:

Скачать видео mp4

  • Информация по загрузке:

Скачать аудио mp3

Похожие видео

[生物放大鏡] 極罕見疾病 被梅杜莎詛咒的

[生物放大鏡] 極罕見疾病 被梅杜莎詛咒的"石頭人" | 擁有第二副骨頭的罕見人類 | 醫生越醫越糟糕的疾病

[生物放大鏡] 最強草食戰鬥民族! 水中袋鼠! | 令泰森認輸的超強拳擊生物 | 嚇人的袋鼠殺人事件

[生物放大鏡] 最強草食戰鬥民族! 水中袋鼠! | 令泰森認輸的超強拳擊生物 | 嚇人的袋鼠殺人事件

走進世界最強大的國家美國,為何卻有4000萬人靠食物券果腹,每天6300人被強制驅逐? #大脑洞记事 #美国 #穷人

走進世界最強大的國家美國,為何卻有4000萬人靠食物券果腹,每天6300人被強制驅逐? #大脑洞记事 #美国 #穷人

ТО, ЧТО НАШЛИ ПОД ВАВИЛОНОМ ПЕРЕПИСЫВАЕТ ИСТОРИЮ ЧЕЛОВЕЧЕСТВА

ТО, ЧТО НАШЛИ ПОД ВАВИЛОНОМ ПЕРЕПИСЫВАЕТ ИСТОРИЮ ЧЕЛОВЕЧЕСТВА

Все Думали, Что Этот Динозавр Погиб Несколько Недель Назад

Все Думали, Что Этот Динозавр Погиб Несколько Недель Назад

[生物放大鏡]毀滅全球兩棲類的

[生物放大鏡]毀滅全球兩棲類的"白色大魔王" | 因為牠兩棲類血崩似的毀滅!? |世界首創能自我繁殖活體機器人

KLĄTWA DZIECI GWIAZD: 10 potomków ikon PRL, którzy skończyli w obłędzie lub więzieniu

KLĄTWA DZIECI GWIAZD: 10 potomków ikon PRL, którzy skończyli w obłędzie lub więzieniu

[生物放大鏡] 帶來災難與詛咒的最罕見貝殼

[生物放大鏡] 帶來災難與詛咒的最罕見貝殼"大災星" | 奪走人命的貝殼 | 能買房的驚人貝殼

11隻狗被毒死後,她辭職自學刑法,把鄰居送進監獄

11隻狗被毒死後,她辭職自學刑法,把鄰居送進監獄

Этот слизень должен быть невозможным

Этот слизень должен быть невозможным

[生物放大鏡] 世界最大蚯蚓的真相 | 染血農田的巨大蚯蚓 | 長毒牙的恐怖蚯蚓!?

[生物放大鏡] 世界最大蚯蚓的真相 | 染血農田的巨大蚯蚓 | 長毒牙的恐怖蚯蚓!?

[生物放大鏡]

[生物放大鏡] "吃肉的蚯蚓"食肉水蛭!! | 巨大蚯蚓與蟾蜍的噩夢 | 貓咪斷手的救星

[生物放大鏡] 核輻射突變世界最大老鼠的真相 | 老鼠海吞食科學家的悲劇 | 比牛還大的老鼠

[生物放大鏡] 核輻射突變世界最大老鼠的真相 | 老鼠海吞食科學家的悲劇 | 比牛還大的老鼠

Porażka Niemiec - Jak stacza się bogaty kraj

Porażka Niemiec - Jak stacza się bogaty kraj

Часы СУДНОГО ДНЯ. Истинное назначение гигантских часов 18 века Праги и Страсбурга

Часы СУДНОГО ДНЯ. Истинное назначение гигантских часов 18 века Праги и Страсбурга

ГЕНИАЛЬНЫЕ ИЗОБРЕТЕНИЯ ЛЕОНАРДО ДА ВИНЧИ

ГЕНИАЛЬНЫЕ ИЗОБРЕТЕНИЯ ЛЕОНАРДО ДА ВИНЧИ

WIĘZIEŃ-GENIUSZ Przeżył 30 lat w DRZEWIE i wrócił z POWROTEM!

WIĘZIEŃ-GENIUSZ Przeżył 30 lat w DRZEWIE i wrócił z POWROTEM!

Стрекозы: Анатомия главного хищника мира — 3D-анимация

Стрекозы: Анатомия главного хищника мира — 3D-анимация

Самые беспощадные насекомые планеты

Самые беспощадные насекомые планеты

ПОЧЕМУ ОСЬМИНОГ ОДНО ИЗ САМЫХ АНОМАЛЬНЫХ СУЩЕСТВ В ПРИРОДЕ

ПОЧЕМУ ОСЬМИНОГ ОДНО ИЗ САМЫХ АНОМАЛЬНЫХ СУЩЕСТВ В ПРИРОДЕ

© 2025 dtub. Все права защищены.



  • Контакты
  • О нас
  • Политика конфиденциальности



Контакты для правообладателей: infodtube@gmail.com